Suche
Verordnung über das Naturschutzgebiet „Lönnewitzer Heide“
Verordnung über das Naturschutzgebiet „Lönnewitzer Heide“
vom 30. Juni 2003
(GVBl.II/03, [Nr. 25], S.562)
Auf Grund des § 21 in Verbindung mit § 19 Abs. 1 und 2 des Brandenburgischen Naturschutzgesetzes vom 25. Juni 1992 (GVBl. I S. 208), zuletzt geändert durch Artikel 4 des Gesetzes vom 10. Juli 2002 (GVBl. I S. 62), verordnet der Minister für Landwirtschaft, Umweltschutz und Raumordnung:
§ 1
Erklärung zum Schutzgebiet
Die in § 2 dieser Verordnung näher bezeichnete Fläche im Landkreis Elbe-Elster wird als Naturschutzgebiet festgesetzt. Das Naturschutzgebiet trägt die Bezeichnung „Lönnewitzer Heide“.
§ 2
Schutzgegenstand
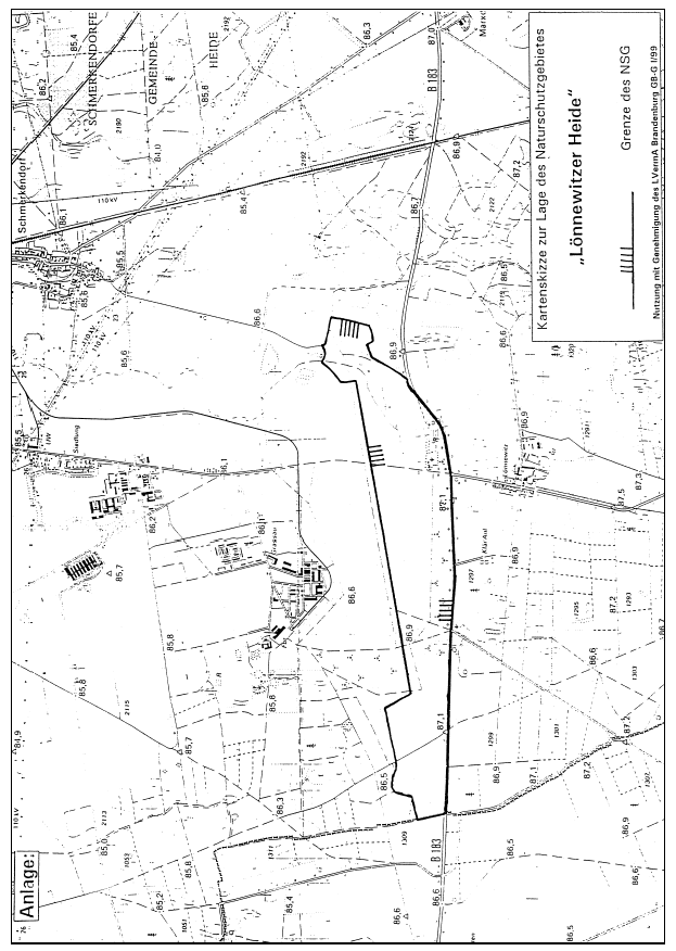
(1) Das Naturschutzgebiet hat eine Größe von rund 161 Hektar. Es umfasst folgende Flurstücke der Stadt Mühlberg/Elbe, Gemarkung Koßdorf, Flur 18:
56, 81, 82, 123 (anteilig), 130, 131 bis 133 (jeweils anteilig), 143 (anteilig), 204 (anteilig), 208 (anteilig), 218 bis 220 (jeweils anteilig), 224 (anteilig), 225, 226, 227 (anteilig).
Eine Kartenskizze ist dieser Verordnung zur Orientierung als Anlage beigefügt.
(2) Die Grenze des Naturschutzgebietes ist in einer topografischen Karte im Maßstab 1 : 10 000 und in einer Flurkarte mit ununterbrochener Linie eingetragen; als Grenze gilt der innere Rand dieser Linie. Maßgeblich ist die Einzeichnung in der Flurkarte.
(3) Die Verordnung mit Karten kann beim Ministerium für Landwirtschaft, Umweltschutz und Raumordnung des Landes Brandenburg, oberste Naturschutzbehörde, in Potsdam sowie beim Landkreis Elbe-Elster, untere Naturschutzbehörde, von jedermann während der Dienstzeiten kostenlos eingesehen werden.
§ 3
Schutzzweck
Schutzzweck des Naturschutzgebietes als Teil einer überwiegend sandigen Niederterrasse des Elbe-Elster-Landes ist
- die Erhaltung und Entwicklung als Lebensraum wild lebender Pflanzengesellschaften, insbesondere der Trocken- und Halbtrockenrasen, Silbergrasfluren, Zwergstrauchheiden, Kieferntrockenwälder sowie Laubmischwaldgesellschaften unterschiedlich nährstoffversorgter, trockenwarmer Standorte;
- die Erhaltung und Entwicklung der Lebensräume seltener und gefährdeter wild lebender Pflanzenarten, darunter nach § 10 Abs. 2 Nr. 10 des Bundesnaturschutzgesetzes besonders geschützter Arten, beispielweise Sand-Strohblume (Helichrysum arenarium), Heide-Nelke (Dianthus deltoides) und Echtes Tausendgüldenkraut (Centaurium erythraea);
- die Erhaltung und Entwicklung des Gebietes als Lebens- beziehungsweise Rückzugsraum und potenzielles Wiederausbreitungszentrum wild lebender Tierarten, insbesondere der Fledermäuse, Vögel, Amphibien, Reptilien, Stechimmen und Heuschrecken, darunter nach § 10 Abs. 2 Nr. 10 und 11 des Bundesnaturschutzgesetzes besonders und streng geschützter Arten, beispielsweise Turmfalke (Falco tinnunculus), Schleiereule (Tyto alba), Braunkehlchen (Saxicola rubetra), Brachpieper (Anthus campestris), Heidelerche (Lullula arborea), Grauammer (Miliaria calandra), Wendehals (Jynx torquila), Rotbauchunke (Bombina bombina), Zauneidechse (Lacerta agilis), Wechselkröte (Bufo viridis), Blauflügelige Ödlandschrecke (Oedipoda caerulescana);
- die Erhaltung des Gebietes aus wissenschaftlichen Gründen, insbesondere zur Erforschung der Sukzession auf trockenwarmen Standorten;
- die Erhaltung des Gebietes wegen der besonderen Eigenart als ehemalige militärische Liegenschaft mit mosaikartig verzahnten nährstoffarmen Offenlandbereichen und Gehölz- beziehungsweise Waldstrukturen und angelegten erhöhten Standorten mit sonnenexponierten und schattigen Bereichen wie Schelterhügel und Sichtschutzwällen aus anstehenden nährstoffarmen Oberböden;
- die Erhaltung und Entwicklung geeigneter vorhandener Bunker und übererdeter Unterstände als Fledermausquartiere sowie vorhandener Schelter als Nist- und Brutstätte für gebäudegebundene Tierarten wie Mehlschwalbe (Delichon urbica), Rauchschwalbe (Hirundo rustica), Turmfalke (Falco tinnunculus) und Schleiereule (Tyto alba);
- die Erhaltung und Entwicklung des Gebietes als Bestandteil des Biotopverbundes im Elbe-Elster-Land.
§ 4
Verbote
(1) Vorbehaltlich der nach § 5 zulässigen Handlungen sind in dem Naturschutzgebiet gemäß § 21 Abs. 2 Satz 1 des Brandenburgischen Naturschutzgesetzes alle Handlungen verboten, die das Gebiet, seinen Naturhaushalt oder einzelne seiner Bestandteile zerstören, beschädigen, verändern oder nachhaltig stören können.
(2) Es ist insbesondere verboten:
- bauliche Anlagen zu errichten oder wesentlich zu verändern, auch wenn dies keiner öffentlich-rechtlichen Zulassung bedarf;
- Straßen, Wege, Plätze oder sonstige Verkehrseinrichtungen sowie Leitungen anzulegen, zu verlegen oder zu verändern;
- Plakate, Werbeanlagen, Bild- oder Schrifttafeln aufzustellen oder anzubringen;
- Buden, Verkaufsstände, Verkaufswagen oder Warenautomaten aufzustellen;
- die Bodengestalt zu verändern, Böden zu verfestigen, zu versiegeln oder zu verunreinigen;
- die Art oder den Umfang der bisherigen Grundstücksnutzung zu ändern;
- zu lagern, zu zelten, Wohnwagen aufzustellen, Feuer zu entfachen oder eine Brandgefahr herbeizuführen;
- die Ruhe der Natur durch Lärm zu stören;
- das Gebiet außerhalb der Wege zu betreten;
- außerhalb der für den öffentlichen Verkehr gewidmeten Straßen und Wege, der nach öffentlichem Straßenrecht oder auf Grund des § 20 Abs. 3 des Landeswaldgesetzes gekennzeichneten Reitwege zu reiten;
- mit Fahrzeugen außerhalb der für den öffentlichen Verkehr gewidmeten Straßen und Wege zu fahren oder Fahrzeuge dort abzustellen, zu warten oder zu pflegen;
- Modellsport oder ferngesteuerte Modelle zu betreiben oder feste Einrichtungen dafür bereitzuhalten;
- Hunde frei laufen zu lassen;
- Be- oder Entwässerungsmaßnahmen über den bisherigen Umfang hinaus durchzuführen, Gewässer jeder Art entgegen dem Schutzzweck zu verändern oder in anderer Weise den Wasserhaushalt des Gebietes zu beeinträchtigen;
- Gülle, Dünger, Gärfutter, Schmutzwasser oder Klärschlamm auszubringen, einzuleiten, zu lagern oder abzulagern; die §§ 4 und 5 der Klärschlammverordnung bleiben unberührt;
- Abfälle oder sonstige Gegenstände zu lagern, abzulagern oder sich ihrer in sonstiger Weise zu entledigen;
- Tiere auszusetzen oder Pflanzen anzusiedeln;
- wild lebenden Tieren nachzustellen, sie mutwillig zu beunruhigen, zu fangen, zu verletzen, zu töten oder ihre Entwicklungsformen, Nist-, Brut-, Wohn- oder Zufluchtsstätten der Natur zu entnehmen, zu beschädigen oder zu zerstören;
- wild lebende Pflanzen oder ihre Teile oder Entwicklungsformen abzuschneiden, abzupflücken, aus- oder abzureißen, auszugraben, zu beschädigen oder zu vernichten;
- Pflanzenschutzmittel jeder Art anzuwenden;
- Wiesen, Weiden oder sonstiges Grünland umzubrechen oder neu anzusäen.
§ 5
Zulässige Handlungen
(1) Ausgenommen von den Verboten des § 4 bleiben folgende Handlungen:
- die im Sinne des § 11 Abs. 2 des Brandenburgischen Naturschutzgesetzes ordnungsgemäße landwirtschaftliche Bodennutzung in der bisherigen Art und im bisherigen Umfang mit der Maßgabe, dass § 4 Abs. 2 Nr. 21 gilt;
- die im Sinne des § 11 Abs. 3 des Brandenburgischen Naturschutzgesetzes ordnungsgemäße forstwirtschaftliche Bodennutzung mit der Maßgabe, dass
- nur Baumarten der potenziellen natürlichen Vegetation eingebracht werden dürfen, wobei nur heimische Baumarten unter Ausschluss eingebürgerter Arten zu verwenden sind,
- Kahlschläge über 0,5 Hektar verboten sind;
- für den Bereich der Jagd:
- die rechtmäßige Ausübung der Jagd mit der Maßgabe, dass die Jagd in der Zeit vom 1. März bis 30. Juni eines jeden Jahres nur vom Ansitz erfolgt,
- die Errichtung ortsunveränderlicher jagdlicher Einrichtungen zur Ansitzjagd mit Zustimmung der unteren Naturschutzbehörde. Die Zustimmung ist zu erteilen, wenn der Schutzzweck nicht beeinträchtigt wird. Transportable und mobile Ansitzeinrichtungen sind der unteren Naturschutzbehörde vor der Errichtung anzuzeigen. Die untere Naturschutzbehörde kann in begründeten Einzelfällen das Aufstellen verbieten, wenn es dem Schutzzweck entgegensteht. Die Entscheidung hierüber soll unverzüglich erfolgen.
Im Übrigen ist die Anlage von Wildäckern und Ansaatwiesen verboten;
- die im Sinne des § 10 des Brandenburgischen Straßengesetzes ordnungsgemäße Unterhaltung der dem öffentlichen Verkehr gewidmeten Straßen und Wege, die im Sinne des § 78 des Brandenburgischen Wassergesetzes ordnungsgemäße Unterhaltung der Gewässer sowie die ordnungsgemäße Unterhaltung sonstiger rechtmäßig bestehender Anlagen jeweils im Einvernehmen mit der unteren Naturschutzbehörde;
- die sonstigen bei In-Kraft-Treten dieser Verordnung auf Grund behördlicher Einzelfallentscheidung rechtmäßig ausgeübten Nutzungen und Befugnisse in der bisherigen Art und im bisherigen Umfang;
- Maßnahmen zur Untersuchung von Altlastenverdachtsflächen und Verdachtsflächen sowie Maßnahmen der Altlastensanierung und der Sanierung schädlicher Bodenveränderungen gemäß Bundes-Bodenschutzgesetz sowie Maßnahmen der Munitionsräumung im Einvernehmen mit der unteren Naturschutzbehörde;
- Schutz-, Pflege- und Entwicklungsmaßnahmen, die von der unteren Naturschutzbehörde angeordnet worden sind;
- behördlich angeordnete oder zugelassene Beschilderungen soweit sie auf den Schutzzweck des Gebietes hinweisen oder als hoheitliche Kennzeichnungen, Orts- oder Verkehrhinweise, Wegemarkierungen oder Warntafeln dienen;
- Maßnahmen, die der Abwendung einer unmittelbar drohenden Gefahr für die öffentliche Sicherheit und Ordnung dienen. Die untere Naturschutzbehörde ist über getroffene Maßnahmen unverzüglich zu unterrichten. Sie kann nachträglich ergänzende Anordnungen zur Vereinbarkeit mit dem Schutzzweck treffen.
(2) Die in § 4 für das Betreten und Befahren des Naturschutzgebietes enthaltenen Einschränkungen gelten nicht für die Dienstkräfte der Naturschutzbehörden, die zuständigen Naturschutzhelfer und sonstige von den Naturschutzbehörden beauftragte Personen sowie für Dienstkräfte und beauftragte Personen anderer zuständiger Behörden und Einrichtungen, soweit diese in Wahrnehmung ihrer gesetzlichen Aufgaben handeln. Der Genehmigungsvorbehalt nach § 19 Abs. 3 Satz 2 des Landeswaldgesetzes bleibt unberührt.
§ 6
Pflege- und Entwicklungsmaßnahmen
Folgende Pflege- und Entwicklungsmaßnahmen werden als Zielvorgabe benannt:
- die Trockenrasen und Heideflächen sollen durch geeignete Maßnahmen wie Entbuschung, Beweidung oder Mahd erhalten werden;
- Höhlenbäume sollen nicht gefällt werden;
- in den Laubmischwäldern sollen hohe Alt- und Totholzanteile erhalten beziehungsweise entwickelt werden.
§ 7
Befreiungen
Von den Verboten dieser Verordnung kann die oberste Naturschutzbehörde auf Antrag gemäß § 72 des Brandenburgischen Naturschutzgesetzes Befreiung gewähren.
§ 8
Ordnungswidrigkeiten
(1) Ordnungswidrig im Sinne des § 73 Abs. 2 Nr. 2 des Brandenburgischen Naturschutzgesetzes handelt, wer vorsätzlich oder fahrlässig den Vorschriften des § 4 oder den Maßgaben des § 5 zuwiderhandelt.
(2) Ordnungswidrigkeiten nach Absatz 1 können gemäß § 74 des Brandenburgischen Naturschutzgesetzes mit einer Geldbuße bis zu 51 129,19 (in Worten: einundfünfzigtausendeinhundertneunundzwanzig Euro, neunzehn Cent) geahndet werden.
§ 9
Verhältnis zu anderen naturschutzrechtlichen Bestimmungen
(1) Die Aufstellung einer Behandlungsrichtlinie zur Ausführung der in dieser Verordnung festgelegten Schutz-, Pflege- und Entwicklungsmaßnahmen und zur Verwirklichung des Schutzzwecks sowie die Duldung von Maßnahmen des Naturschutzes und der Landschaftspflege richten sich nach den §§ 29 und 68 des Brandenburgischen Naturschutzgesetzes.
(2) Die Vorschriften dieser Verordnung gehen anderen naturschutzrechtlichen Schutzgebietsausweisungen im Bereich des in § 2 genannten Gebietes vor.
(3) Soweit diese Verordnung keine weiter gehenden Vorschriften enthält, bleiben die Regelungen über gesetzlich geschützte Teile von Natur und Landschaft (§§ 31 bis 36 des Brandenburgischen Naturschutzgesetzes) und über den Schutz und die Pflege wild lebender Tier- und Pflanzenarten (§§ 39 bis 55 des Bundesnaturschutzgesetzes, §§ 37 bis 43 des Brandenburgischen Naturschutzgesetzes) unberührt.
§ 10
Eine Verletzung von Vorschriften des Brandenburgischen Naturschutzgesetzes oder anderer Rechtsvorschriften kann gegen diese Verordnung nur innerhalb von zwei Jahren nach ihrer Verkündung geltend gemacht werden (§ 47 Abs. 1 Nr. 2 und Abs. 2 der Verwaltungsgerichtsordnung in Verbindung mit § 4 Abs. 1 des Brandenburgischen Verwaltungsgerichtsgesetzes).
§ 11
In-Kraft-Treten
Diese Verordnung tritt am Tage nach der Verkündung in Kraft.
Potsdam, den 30. Juni 2003

Verordnungen